family CERAMBYCIDAE Latreille, 1802
subfamily LAMIINAE Latreille, 1825
tribe Tetropini Portevin, 1927
genus Tetrops Stephens, 1829
Druhová jména praeustus a gilvipes bývají autory chápána různě, viz např. T. praeustus niger nebo T. gilvipes niger.
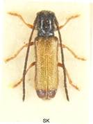
Tetrops praeustus praeustus (Linnaeus, 1758)
subgenus Tetrops Kirby,1826
U druhu Tetrops praeustus by bylo vhodné udělat revizi druhu. Imaga bývají značně odlišná, rozdílnost je ovlivněna i geograficky nejen v území Evropy a Asie, ale i v rámci Česka a Slovenska. Je nutné shromáždit větší materiál z celé oblasti výskytu. Já už se této akce zcela jistě nemám v úmyslu účastnit. Z Česka byly nově popsány dva druhy (2020), které se odlišují od Tetrops praeustus, ale tím se ujasněnost samotného druhu řeší jen částečně.
(Tetrops preustus adlbaueri Lazarev, 2012 (???))
Podle zobrazených kusů byl proveden popis (foto Lazarev). Popsán byl jako Tetrops gilvipes adlbaueri Lazarev, 2012. Nyní jsem toho názoru, že to není gilvipes, ale praeustus, že je jeho synonymem a můj názor v publikaci 2017 byl chybný.
Velikost 3-6 mm.
Bionomie. Především ovocné sady, dále stromořadí, prořídlé smíšené listnaté lesy. Vývoj larev v nejslabších oslabených nebo odumírajících větvičkách. Larvy vyžírají chodbičky pod kůrou a kuklí se v komůrce ve dřevě, nebo i v mělké prohlubenině v běli. Přezimuje v larválním stadiu. Zjistil jsem pouze jednoletou generaci. - Imaga se vyskytují v V. a VI. na odumírajících větvích, listech a za slunného počasí i na různých květech, např. Crataegus, ovocných stromech aj. Při zralostním žíru imaga skeletují listy, případně vyžírají plošky.
Živné rostliny - Pyrus, Prunus, Malus, Frangula alnus, Ulmus, Cydonia oblonga, Persica vulgaris, Morus, Salix, Quercus, dále se uvádí Mespilus germanica, Juglans, Crataegus, Euonymus, Rosa, Tilia aj.
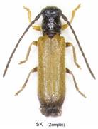
Tetrops peterkai Skořepa, 2020
subgenus Tetrops Kirby,1826
Podle popisu: velikost: 2,9 – 5,5. Foto A. Riedel.
Bionomie: Frangula alnus.
Rozšíření: Česko, Slovensko, Německo, Rakousko.
Rozdíl od T. praetermitus. Skořepa podle popisu uvádí délku krovek 3,5 x delší, než jsou na bázi široké, delší než u Tetrops gilvipes. Poslední tykadlový článek 1,28-1,5 x delší než předposlední. Štít je delší, zaškrcení štítu na zadní straně je silně prohloubené. Chloupkování slabší, kratší, uspořádané. Tečkování krovek je hrubější a hlubší.
V mé původní sbírce jsou také 2 kusy z lokality: Slovakia, Štúrovo, 9.5.1974, M. Sláma lgt. a 2 kusy Bohemia, Králův Dvůr, 1988, lgt. Břach.
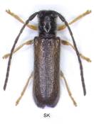
Tetrops praetermitus Sláma, 2020
subgenus Tetrops Kirby,1826
Velikost: 4,7 – 6,0. Foto M. Knížek
Bionomie: Všechny exempláře byly vychované z Frangula alnus.
Rozšíření: zatím jen jižní Čechy (povodí Nežárky).
Rozdíl od T. peterkai. Krovky jsou kratší a širší, u samců 2,3-2,4 x a u samic 2,2-2,4 x delší, než jsou na bázi široké. Poslední tykadlový článek 1,55-1,7 x delší než předposlední, na konci je prodloužený a ostře zakončený. Je to důležitý determinační znak, který jsem u ostatních druhů nikde neviděl. Štít je širší, zaškrcení štítu na zadní straně je mělké. Chloupkování štítu je silnější, delší, neuspořádané. Tečkování krovek je jemnější, méně hluboké.
(Lazarev 2024 uvádí T. peterkai a T. praetermitus jako ssp. T. praeustus, což je naprosto chybné a není to vůbec ničím zdůvodněno.)
Tetrops gilvipes (Faldermann, 1837)
subgenus Tetrops Kirby,1826
Tetrops gilvipes gilvipes (Faldermann, 1837)

Tetrops gilvipes mikati Sláma, 2018
Velikost 4-6 mm. Foto M. Knížek (1-3).
Bionomie. Všech 5 původních exemplářů bylo chyceno sklepáváním Frangula alnus (7.6. a 7.VII.). Podle dalších nalezených kusů je zatím tento druh znám jen ze Slovenska z oblasti kolem Vihorlatu.
Tetrops niger Kraatz, 1859
subgenus Tetrops Kirby,1826

Imaga bývají zbarvena tmavohnědě až černě. Tento taxon bývá uváděn jako Tetrops gilvipes niger.
Velikost 3-5 mm.
Západoevropský taxon. Bionomie je údajně podobná jako T. praeustus. Sklepal jsem je ve Francii z jabloní (Malus). Výskyt imag V-VI.
Imaga bývají zbarvena tmavohnědě až černě.
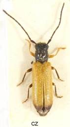
Tetrops starkii starkii Chevrolat, 1859
subgenus Tetrops Kirby,1826










Tři tmavé kusy ze Slovenska mají původní tmavbou barvu. Poslední kus CZ je prvým kusem Tetrops starki, který jsem vlastnil. Koupil jsem ho v roce 1947 od firmy Pfleger v Praze 5, Zborovské ulici. RNDr. Pfleger byl velmi solidní pán, který prodával široký sortiment přírodnin, zeména hmyzu. Uvedený kus má stále stejnou barvu jako měl, jen barva nalepovacího štítku ještě více ztmavla. Kus měl lokalitu Paskau a je jistě přes 100 let starý. Je otázkou, zda všechny tmavé kusy patří uvedenému druhu.
Velikost 3-6 mm.
Bionomie. Smíšené listnaté lesy. Požerky podobné jako u předcházejícího druhu, pod kůrou a částečně ve dřevě. V koncových větvičkách o průměru do 2–3 cm, obvykle v korunách stromů. - Imaga na větvích, listech a květech, např. Fraxinus. Heyrovský (1955) uvádí vývoj společně s Agrilus convexicollis Redtenb.
Živné rostliny - Vývoj byl spolehlivě zjištěn ve Fraxinus, Juglans (König).
Tetrops angorensis Pic, 1918
subgenus Tetrops Kirby,1826

Tento druh byl původně popsán jako barevná varieta Tetrops praeustus L. Později je uváděn jako jeho subspecie, ale podle mého názoru se jedná o odlišný samostatný druh. Pokud jsem viděl další Tetrops z Turecka (např. ssp. anatolicus Özdikmen & Turgut), tak mám dojem, že ani tyto subspecie pod druh Tetrops praeustus nepatří.
Tetrops praeustus (Linnaeus, 1758)

Tetrops starkii Chevrolat, 1859
