family CERAMBYCIDAE Latreille, 1802
subfamily CERAMBYCINAE Latreille, 1802
tribe Stenopterini Gistel, 1848
genus Callimoxys Kraatz, 1863
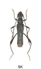
Callimoxys gracilis (Brullé, 1832)




Velikost 7-13 mm.
Bionomie. Lesostepi, pastevní lesy a okraje listnatých porostů. Způsob vývoje larev mi není znám. Imaga se vyskytují od počátku V. do poloviny VI., maximum kolem poloviny V., na květech, zejména Crataegus, méně často Swida sanguinea, Apiaceae, Leucanthemum.
Živné rostliny – Acer, Paliurus spina-christi a Prunus.